Με μικρά και μεγάλα απαραίτητα βήματα αναβαθμίζουμε το δημόσιο χώρο και δημιουργούμε αξιοσημείωτες ‘’γωνιές’’, προσκαλώντας δημότες αλλά και επισκέπτες να περπατήσουν τα χωριά μας, να αναζητήσουν την ιστορία και να νοιώσουν την αύρα της Επιδαύριας Γής.
Αυτή τη φορά καταφέραμε να εντάξουμε δυο έργα στο Λυγουριό, με πόρους από το Πράσινο Ταμείο.
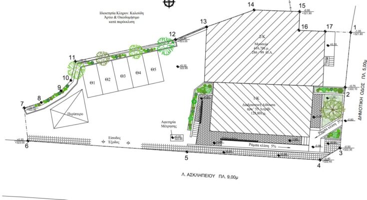
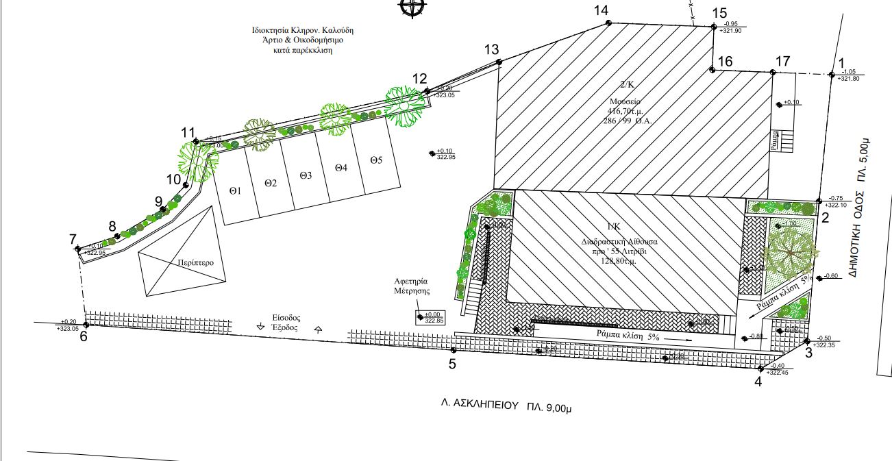
Η Πλατεία Άννας Συνοδινού και το Μουσείο Ελιάς είναι δυο εμβληματικά έργα που σε συνάρτηση το ένα με το άλλο αναδεικνύουν με τον καλύτερο τρόπο την πλούσια πολιτιστική και καλλιτεχνική ιστορία μας με τον πρωτογενή παράγοντα και τον ‘’υγρό χρυσό’’, το λάδι, που έθρεψε και θρέφει γενιές και γενιές της Επιδαύριας Γής.
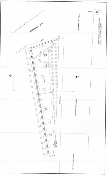
Η Ανάπλαση και Διαμόρφωση της Πλατείας Άννας Συνοδινού είναι έργο που έχει ως κεντρική ιδέα την αναφορά όλων των ρόλων -14 γυναικείοι- που έπαιξε η καλλιτέχνιδα στο αρχαίο θέατρο της Επιδαύρου από το 1955. Έχοντας αποκτήσει τη χειρόγραφη υπογραφή της Άννας Συνοδικού για αυτό το έργο, θα γίνει κατασκευή ξεχωριστού τοίχου με διαφορετικό υλικό ώστε να τοποθετηθεί η επιγραφή με τη χειρόγραφη υπογραφή της μεγάλης ηθοποιού . Μια επιγραφή που θα υπογράφει το μεγάλο της έργο αλλά και το έργο αυτής της πλατείας και συνεπώς θα γίνει η επόμενη ‘’στάση’’ του Ασκληπιείου ώστε να αναδειχθεί ο ρόλος του Θεάτρου, γενικότερα, στην τοπική και όχι μόνο κοινωνία.

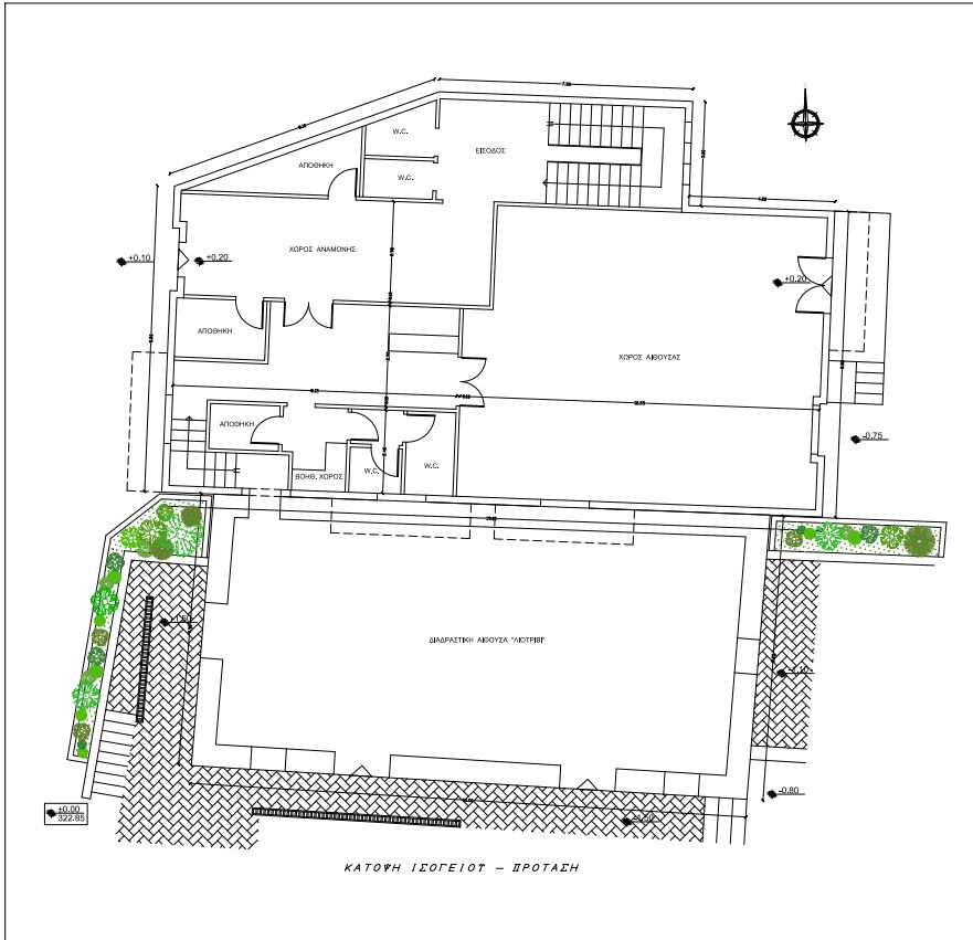
Η αναβάθμιση και ανακαίνιση του παλαιού Λιοτριβιού ‘’των 40’’ και η μετατροπή του σε Μουσείο Ελιάς θα δημιουργήσει ένα νέο χώρο πλήρως προσβάσιμο σε τρία επίπεδα, με αποκατάσταση του παλαιού πέτρινου κτηρίου και ισόγειο χώρο αίθουσας διαλέξεων και προβολής υλικού. Θα γίνει αποκατάσταση των όψεων και συντήρηση ολόκληρου του κτηριακού συγκροτήματος με χρωματισμό και αποκατάσταση – συντήρηση ξύλινων κουφωμάτων. Και φυσικά επαναλειτουργία ελαιοτριβείου με την παλαιά μέθοδο παραγωγής ελαιολάδου – συναρμολόγηση μηχανημάτων για την διαδραστική λειτουργία ελαιοτριβείου του μουσείου.
Να ευχαριστήσουμε την τεχνική Υπηρεσία του Δήμου Επιδαύρου αλλά και τις συνδημότισσες μας Ντορέτα Ταβλαντά και Μάγδα Μπούτση για την τεχνική βοήθεια , προκειμένου να γίνουν οι απαραίτητες αλλαγές και αν ενταχθούν τα έργα συνολικής αξίας 210.000€ εκ των οποίων τα 167.000€ είναι χρηματοδοτούμενα από το Πράσινο Ταμείο. Φυσικά θερμές ευχαριστίες στο Δ.Σ. , τις τεχνικές υπηρεσίες του πράσινου ταμείου και τον πρόεδρο Στάθη Σταθόπουλο που αμέσως αντιλήφθηκε το όραμά μας για αυτούς τους χώρους και βοήθησε τα μέγιστα ώστε να επιτύχουμε τον στόχο μας.

Ο δήμος Επιδαύρου και η δημοτική αρχή προχωρά συστηματικά στην ανάδειξη της πλούσιας ιστορικής, πολιτιστικής και λαογραφικής κληρονομιάς μας με την στοχευμένη υποβολή προτάσεων σε όσες προσκλήσεις έργων μπορεί.
Ο δήμος Επιδαύρου σταθερά απολαμβάνει την εκτίμηση που του αρμόζει από πολιτικούς και υπηρεσιακούς παράγοντες αλλά κυρίως από την κοινωνία των πολιτών!
Με έργα καθημερινά σε όλα τα δημοτικά διαμερίσματα πετυχαίνουμε να κάνουμε το Δήμο Επιδαύρου όχι μόνο ‘’τόπο να δεις’’ αλλά και ‘’τόπο να ζείς’’.
Ο Δήμαρχος
Αναστάσιος Κ. Χρόνης

